Skip To

  • Skip to content
  • Jump to navigation
  • Search

Page Outlines

Loading...

    Globe

    IE10 and below are not supported.

    Google Chrome Mozilla Firefox

    Contact us for any help on browser support

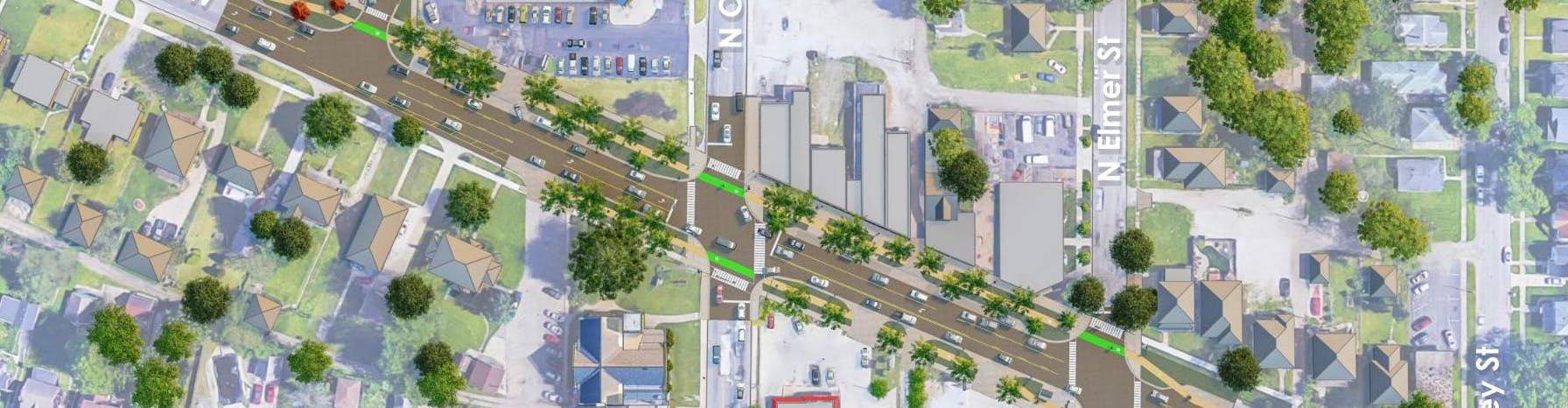
    Plan View of Lincolnway West and Olive Street

    You are here:

    • Home
    • Lincolnway West - Olive Street Streetscape Project

    View Plans

    • document icon Plans & Renderings (6.33 MB) (pdf)